当前位置:首页 > 新闻频道 > 产经报道 > 正文

济宁市运河新城核心区安顺路跨老运河桥项目获批

搜狐网济宁小编相关渠道获悉:近日,济宁市行政审批服务局根据《中华人民共和国城乡规划法》、《山东省城乡规划条例》等有关规定,对济宁市运河新城核心区一体化综合开发项目-安顺路跨老运河桥项目规划设计方案进行批前公告。

一、建设项目与基本情况:

1、建设单位:济宁中交运河未来城投资发展有限公司

2、建设项目名称:济宁市运河新城核心区一体化综合开发项目——安顺路跨老运河桥

3、建设位置:运河新城核心区

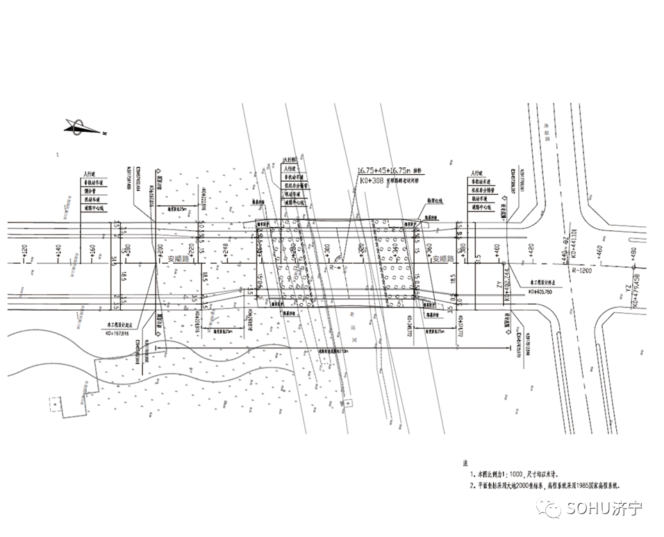
4、建设规模:项目总规划用地面积0.506公顷,桥梁全长78.5米,桥梁总宽为51.1米(含两侧人行桥),桥梁结构为上承式混凝土拱桥,主要建设桥梁工程、路基工程排水工程、路灯照明工程等。

位置图

立面图

总平面图

二、公告期限:2023年8月17日-2023年8月25日(7个工作日)

三、公告地点:建设项目现场、济宁市行政审批服务局网站(http://zwfwzx.jining.gov.cn)

四、承办单位:济宁市中交运河未来城投资发展有限公司  

联系电话:0537-7971037

办公地址:任城区鑫声玉城3号楼(共青团路西)

鸟瞰图

效果图

0

下一篇:设计居住153户!任城区一商住项目获批

上一篇:占地约518亩!济宁市内环高架及连接线项目蔡庄立交工程获批

网友留言评论(0)
验证码:
 
文明上网 礼貌发帖 0/300